ミヤマミズ

イラクサ科 ミズ属

 
2025.8.9 静岡県熱海市   2025.8.9 静岡県熱海市


山地の湿り気のあるところに生える多年草で、高さは40〜80センチ。葉は葉柄があって対生し、長楕円形で3脈が目立ち、脈の間は格子状に葉脈が繋がる。葉は光沢があり、先は尖り、低い鋸歯がある。托葉は大きく10〜15ミリで、早く落ちる。
雌雄同株で、雄花序と雌花序が別に葉腋に密な集散状に付け、淡緑色で、花被片は雄花が4個、雌花が3個ある。花期は7〜10月。関東以西の本州・四国・九州に分布する。絶滅危惧U類 

〜徒然想〜

ヤマクルマバナハコネクサアジサイを撮り終えて、他に何かないかと探索していると、ミズの仲間が目に留まりました。よく見るアオミズとは、ちょっと葉の様子が違っていました。葉が細長く、何よりも葉脈が違うなと思いました。念のため撮っておくことにしました。
調べると、本種が妥当と判断しました。葉が細長く、先が尖り、葉脈が特徴的だったのが決め手です。
残念なことは、花期にはちょっと早かったようで、花はまだ開花していないようです。また、撮影時は雌雄の花序が別々に付くことも知らず意識して撮影していませんので、下記の雄花序、雌花序の画像は?です。

−同じ科の植物−

 
 2025.8.9 静岡県熱海市    2025.8.9 静岡県熱海市
 茎は無毛でした 花序は葉腋に密に付きます 長さ1センチ超えの托葉があります   
 2025.8.9 静岡県熱海市
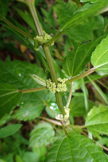
雌花序と思われますが?です
   2025.8.9 静岡県熱海市
雄花序でしょう
 
 2025.8.9 静岡県熱海市   2025.8.9 静岡県熱海市 
 葉はアオミズよりも細長く、葉脈は網目状です 葉先は尖りますが、尾状ではありません 葉裏は無毛です